Lots 2,3,4 Leicester St.Auburn, MA 01501



Mortgage Calculator
Monthly Payment (Est.)
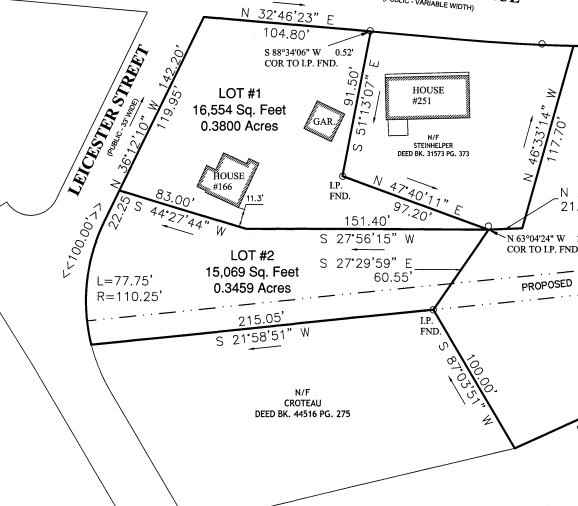
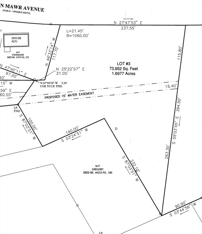
$1,482Rare opportunity to acquire three buildable lots in a convenient Auburn location. Situated between and behind 160–166 Leicester Street, with additional access potential from Bryn Mawr, these parcels offer flexibility for builders, developers, or end users.Lot 2 consists of approximately 15,069 sq ft (0.35 acres), Lot 3 offers 73,952 sq ft (1.70 acres), and Lot 4 spans 123,527 sq ft (2.84 acres). The lots provide a unique combination of frontage, depth, and privacy, with potential for a variety of residential uses (buyer to perform due diligence).Conveniently located near major routes, shopping, and local amenities, while still offering a tucked-away setting. Whether purchased individually or as a package, this is a great opportunity in a desirable Auburn location.
| 11 hours ago | Listing updated with changes from the MLS® | |
| 11 hours ago | Listing first seen on site |
The property listing data and information, or the Images, set forth herein were provided to MLS Property Information Network, Inc. from third party sources, including sellers, lessors, landlords, and public records, and were compiled by MLS Property Information Network, Inc. The property listing data and information, and the Images, are for the personal, non-commercial use of consumers having a good faith interest in purchasing, leasing or renting listed properties of the type displayed to them and may not be used for any purpose other than to identify prospective properties which such consumers may have a good faith interest in purchasing, leasing or renting. MLS Property Information Network, Inc. and its subscribers disclaim any and all representations and warranties as to the accuracy of the property listing data and information, or as to the accuracy of any of the Images, set forth herein.
Last checked 2026-04-18 10:38 AM UTC
